
Yesterday a dog apparently crawled underneath someone’s truck in a parking lot where I too was parked. When the family returned to their vehicle and tried to leave, they said they felt a hump and knew instantly they had run over something. It was the dog, of course.
A few of us approached to help but no one wanted to get too close to the pitbull, who was dragging her hind leg and trying to find a quiet spot. I talked to her and since she appeared friendly, I decided to kneel down and hold my hand close enough to her face so she could respond one way or the other. (How brave I am now that I have health insurance and can get seen by a doctor if a dog bites me, heh. Thanks Obamacare!) She gave my hand a kiss so I moved in to pick up the tether she was dragging. Someone had wrapped a chain around her neck 3 times and attached a leash type tether to it, which appeared frayed at the end, as if possibly she’d broken free.
I attempted to get information from the family who had accidentally run over her regarding any possible owner. There was no known person with the dog. Another woman asked if we should call animal control to pick the dog up and of course I said no, knowing that would be a death sentence. Just then the driver of the truck came around the corner and announced that she had called AC and they were on the way. So I decided to stay with the dog and see if pleading for her life might do any good. Nothing to lose.
When the ACO arrived I was so pleased to see how gentle he was with the dog and how compassionate he appeared to be. I asked if there was any chance at all the dog would not be killed and he told me in a very straightforward manner that there was no hope of that. He explained how much he hated that fact but that he wanted to be honest with me. I told him I could not send an apparently young, friendly and otherwise healthy dog to be killed. She at least deserved a veterinary evaluation. I am currently broke but I still have a couple hundred dollars in the bank, courtesy of donations that readers have made to the blog’s expense account over the years. I made an executive decision and decided no one who donated to the blog expenses fund would mind if I raided it under these circumstances. I am going to pay it back over time and a woman in the parking lot offered to chip in as well.
The kind ACO managed to get the dog onto his stretcher and unwind the chain from around her neck. He loaded her into my car for me and said I could call him later in the week and he would come by to pick up the stretcher. He scanned her for a chip, found none and wrote up a found dog report. I asked if he needed to take her picture and he said the pound doesn’t have that capability. He explained to me that someone could potentially reclaim her but added that anyone attempting to do so would need to have a very good explanation for why the dog was loose with a chain wound around her neck. He thanked me profusely for helping the dog and asked me to let him know what happens with her.
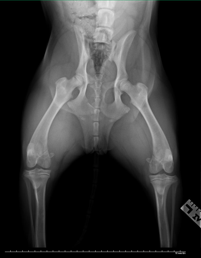
I called the emergency vet clinic on the way and they took her to the back immediately upon arrival. I was asked to fill out paperwork, which I did, scrawling “I have financial limitations.” across the top. After awhile, the vet who had examined her spoke to me about his findings. The injuries did not appear to be grave and he explained that despite the fact that I was being handed an $800 estimate for care that would be ideal, much of it was precautionary in nature. I was given the option to go through the estimate item by item, picking out the services I could afford. He strongly recommended at least one x-ray. I picked out $200 worth of services, including an x-ray. This is that x-ray:

The dog’s pelvis is fractured in 2 places but they will heal on their own, with approximately 6 weeks of cage rest. The vet said, “She got lucky.” I was never so happy to hear 3 words. The vet told me the story of the Good Samaritan from the Bible and thanked me for not leaving the dog in the lobby, which he said happens regularly. He gave me $50 off the bill. They sent us home with pain pills and home care instructions.
We already have too many dogs. Now we have one more, at least temporarily. I tried reaching out to some area rescues but have been turned down. She is approximately 9 months old and I am assuming she is intact, although due to the pain she’s in, I haven’t checked for a spay scar. Her belly looks wormy but she has not been starved and has a good amount of muscle on her. I assume she needs vaccines, heartworm testing/meds, deworming and spay surgery, once she regains her health. But that’s down the road. For now, I am taking things with her one day at a time. Yesterday was a good day.
In the absence of a shelter that actually shelters animals in need, at least we have the so-called irresponsible public. Thank you to the generous woman who offered on the spot to help with the bill, to all of you who have donated to the blog’s expense fund in the past, and to the kind ACO who wasn’t afraid to tell the truth when it mattered. I will keep everyone posted on this dog’s progress.
For as long as this dog is with us, she will need a name. I decided to name her in honor of the little girl whose family accidentally ran over the dog. She was so polite and well spoken and she impressed me with her sincere concern for the dog. She waited with me for awhile until her family left. While we were waiting for AC, she spotted an ambulance coming down the road and said, “I think that’s them!” This fills me with hope. I want that world to exist in this little girl’s lifetime. I want it to be true that animals are treated as sentient beings with the right to live and that when a stray dog has an emergency, the local shelter takes swift action to help protect that dog from further harm. And so, this dog will be called Jade.


This. This is what gives us hope for the world.
Thank you so much for taking care of her. Bless the irresponsible public.
LikeLike
Your story filled me with hope for this evil world! Thanks to all who cared enough to save Jade! Please keep us posted!
LikeLike
Thank you for being a true dog lover, let us know how we can contribute to Jades care, it’s time for everybody to make an executive decision
LikeLike
Thank you for offering to help. The address to mail a check:
Shirley Thistlethwaite
#251
10120 Two Notch Rd, Ste 2
Columbia, SC 29223-4385
LikeLike
Where can I send a donation through PayPal for Jade. I think I just need an email, but I am not positive about that.
LikeLike
Thank you. Paypal has rules and I’ll admit I do not know them all. I am not a rescue group or a 501(c)3. If, to your knowledge, it’s not against Paypal’s rules to send a donation for Jade’s care (and hey, I’m not expecting you to know all their rules either!), my e-mail address is eiderdown@yesbiscuit.com
LikeLike
If people send via Paypal, be certain to choose the “send money to friends and family” option so no fees are taken.
LikeLike
Is using PayPal working alright?
LikeLike
So far, so good. Paypal hasn’t sent any henchmen to my door.
LikeLike
How can we contribute toward Jade’s care? Send a check to the address at the ‘Kick in for Blog Expenses’ tab? Or will there be a separate on-line fundraiser?
LikeLike
Thank you for asking. If you would like to help fund Jade’s care, a check to the address you mentioned would work fine. If you write her name in the “for” spot on the lower left hand side of the check, I will earmark it specifically for her vet bills.
LikeLike
What an unbelievably great thing to do! If I can send a donation to help with her medical bills, please let me know where to send it. I would like to help you and her.
LikeLike
This story is the microcosm of how, at this point in our nation’s responsibility towards homeless animals, their fates come down to just that: random luck, fortune, serendipity, Jade’s timing was good, she lives, as deservedly as every other whose life is cruelly ended because they landed somewhere less compassionate.
LikeLike
Thanks, Shirley! To make it a bit easier, here’s the address. If you want to help, send a check, stipulate ‘For Jade’ and mail to:
Shirley Thistlewaite
#251
10120 Two Notch Road, Ste 2
Columbus SC 29223-4385
LikeLike
Just when I had given up on the human race, I read this story. God bless all the fantastic humans that worked together to save this one dog. Myself and an army work tirelessly every day for hours to save countless others.
LikeLike
It will be a week or so, but would like to help with Jade’s care, too. Bless you and all of the others for saving this sweetheart from a likely death. And thanks to the ACO who was compassionate and honest with you. It must have been dreadful for the people who ran over her. My guess is that you will find a wonderful home for this beautiful dog.
LikeLike
Thank you for everything you do everyday to bring to light the plight of homeless animals in our nation’s shelter system and for what you are doing to help Jade.
LikeLike
come on Shirley no one has “too many dogs” LOL check on the way! Good Girl Jade!
LikeLike
Thank you. You are correct. We have too many CRAZY dogs.
LikeLike
I’m hardly able to type this for the tears running down my face . . .
Everyday, we read about terrible misfortunes and problems and animals dying and pleas for animals all over the country – we have to develop a protective cover for our hearts in order to be able to carry on.
I rarely break down from all the facebook pictures or stories, or the daily various shelter’s animals that may get put down.
But this one got to me.
Your kindness & generosity, naming her after the little girl, the wonderful way you’ve written about hope for the future . . .
more tears . . .
LikeLike
Shirley, I am so so so proud of you for going the distance for little Jade. You did not put finances ahead of getting her taken care of, but of course I wouldn’t expect that you would. You are just that generous kind caring person who steps up to do what is right.
It seems that many are also stepping up to help and I am so happy to be able to help also. Wishing little Jade a speedy recovery and a wonderful experience for you in caring for her. You’ll see that pitties are the best!
LikeLike
Jade was lucky you were there. I will be sending a donation for her.
LikeLike
I’ve been “Jaded”! In a good way! So happy to read your story.
LikeLike
I am putting a check to you in the mail now. Use it for Jade, use it for whatever you need. Thank you for saving her : )
LikeLike
There are many wonderful things about this story but the one that makes my heart happiest is that the child saw the ambulance and believe it to be for the dog! It gives me enormous hope too! Thank you for being Jade’s champion and all you do to help soooo many animals!
LikeLike
Such a Typical Pit bull. They can be beaten, abused and ran over and will still lick your hand. I hope this doesn’t sound condescending but I am so proud of you! Thanks for always doing the right thing, and for sharing it with us on a daily basis. Love this story, love her name and it seems like she had several angels that day looking out for her well being. I am so thankful. Thank you Shirley! I cant wait to see her progress, and I pray she is HM negative and can get the care she needs through all of us, the dang irresponsible public strikes again! I am not rich but my check is on the way too.
LikeLike
Thank you for all the kind comments and offers to help pay for Jade’s care. I so heart the irresponsible public.
I feel like she’s doing better this afternoon than yesterday as far as the amount of pain she seems to be experiencing so that is encouraging. Of course the meds only address the physical pain, not the pain of being in a house with a bunch of loopy dogs all screaming STRANGER DANGER at the top of their lungs.
LikeLike
Thank you for saving Jade, and being a voice for dogs and cats in shelters across the country!
LikeLike
There’s something in my eye. And my check is in the mail. Thank you for helping this dog, you irresponsible public person!
LikeLike
a year and a half ago I found an abused Chi cross 6 month pup on the side of the road. His pelvis was broken and crooked. My vet also gave me a huge break in the cost and I nursed this guy who now runs all over the yard and is a very loving and super smart dog. I know Jade will heal also and she will be a very special dog for a very lucky person.
God bless you in your work.
LikeLike
I will mail a donation to help you pay for Jade’s care. Thank you for stepping up and saving her life.
LikeLike
What a GREAT story . . . your compassion is incredible. My check is also in the mail. Thank you for allllllllllllllllllllllllllllll you do, Shirley!!
LikeLike
Thank you for your offer to help.
Oh it’s easy to be compassionate. The hard part is dodging the frying pan being wielded by an already overburdened partner when you come home with yet another dog.
LikeLike
Shirley, if I was there, I’d give you a big hug! You’ll have to settle for my check you’ll be recieving. Love you!
LikeLike
I’m not sure if I can donate now, but I will try to soon. Thank goodness you were there and that the ACO was such an honest compassionate person. You should keep in contact with him, perhaps he’s the key to help you reform your local shelter to be a better place. There have to be more people who care and want to make a difference. What size is the kennel/crate? I want to order you a kuranda bed so that Jade will be comfortable. And a kong so that she will have something to lick while she is resting.
LikeLike
The accident didn’t happen in my county and the ACO is not from my local shelter but you and I were thinking alike! When he came to pick up his stretcher, I gave him a copy of Redemption. I hope he reads it.
Thank you for your offer to help. It doesn’t matter how much you can afford (and everyone has permission to donate a dollar!) or when (since no one is beating down my door to take this sweet girl right now). I appreciate it.
I am keeping her in an x-pen for now. Since she can’t walk, there is no need to keep her in a crate plus the x-pen allows me the luxury of getting in there to pick her up instead of trying to haul her in and out of a crate which surely would be painful for her. She weighs 45 pounds (but I swear those are the heaviest 45 pounds I’ve ever carried around!) Right now she has usurped one of the beagle beds, which she can get about 1/2 of herself on. Beagles disapprove.
LikeLike
Actually, I think Jade is younger the 9 months. Her growth plates are still wide open. Which means she has an even better chance of healing because her bones are so actively growing.
LikeLike
Thanks for letting me know. The vet did point out the growth plates on the x-ray to me. So interesting as I’ve never seen them before. I thought growth plates normally close about 12 months of age but have no idea what the width of hers suggests age-wise. If you have an age guess for Jade based upon what you see in the film, I’d be happy to hear it.
LikeLike
I’m absolutely skint at the moment but hope to send something as soon as I can. Thank you so much for saving Jade,she’s lovely.
LikeLike
Wonder if you already knew about this. You can also use the free PetCaring site for fundraising for pets & animals.
“PetCaring is a free fundraising website, created for individuals & groups wanting to raise funds for our furry friends in need. It provides a simple and organized way to implement your fundraiser ideas and help achieve, or exceed your fundraising goals.”
– See more at: http://www.petcaring.com
LikeLike
I love you! FOR BEING THE KIND OF MAN THAT WE NEED SO MANY MORE OF, all GENDERS!!! THANKS AGAIN! aLL MY BEST WISHES TO THHIS SWEET PUP!!!
LikeLike